Day Shift at the Asylum (Excerpt from Poem by Ama Danesi)
Blond dandy meteorologist pumped his fist
High in the air giddy with the forecast of sunshine
Promised to the nurse high on whatever she gets high on
Promised to diminished egos stranded under hopeless arcs
Promised to beach bums in Venice, like that even makes sense
The obstinate moon tripped and drenched nurse lady….
This poem was my attempt at giving my local KABC 7 news meteorologists some edge!
The only uninteresting news today was the weather report on my local TV station. It still amuses me when my partner, stops in the middle of dressing for work, tilts his head like a cocker-spaniel to listen to the Live Mega Doppler 7000 HD local weather and traffic report. I bet, most people just gloss over the details – “Dense fog advisory – foggy nights, people…visibility is low in parts of Orange County, Palm Springs looking beautiful, 84 degrees over the weekend.”
The nice GPS lady and Siri, have made this totally unnecessary. I know…I talk to both, they talk back and sometimes, I can’t get them to shut up.Here’s my weather summary: It’s sunny in the valley, it’s foggy on the mountains and we need more freeways. Not news helicopters directing to us to freeways to get stuck on! Though not entirely their fault – in Los Angeles, we wake up to and head right into the nightmare of the morning commute.
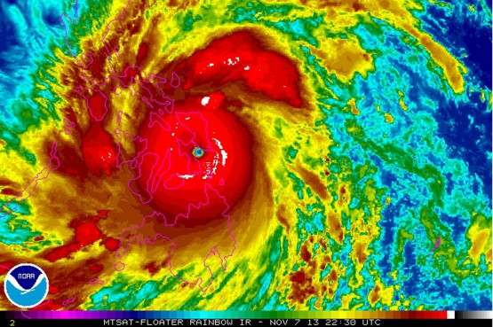
But on the day’s report, something was different. After the sun worship and fist pumping, the news that Super Typhoon “Haiyan” was wreaking havoc in the South China Sea sent panic waves through those with loved ones over there.
Typhoon Haiyan Makes Landfall
Busy with errands I didn’t hear the news, till later in the day and I was alarmed! It seemed that phone lines and cell towers were all down , and I couldn’t reach our family friends, until I got a Facebook status from them asking for prayers for their safety, as it was still raining heavily. This is one of the few times families and friends can say, “Thank God for Facebook!” Social Media will play a huge role in helping loved ones connect and get help.
This is definitely going to be a long rough road to recovery,the strongest and possibly the most powerful typhoon in the world this year has just hit land in the Philippines. About one million people have been forced to flee their flooded villages and homes and there are already talks of widespread casualties.
Patrick Fuller, spokesman for the International Federation of Red Cross and Red Crescent Societies said in a statement, that “The humanitarian impact of Haiyan threatens to be colossal”.
So as we pray for families and loved ones, let’s help the various charity organizations getting involved in the rescue and personally, I have resolved to be grateful. I’ll take a boring , uneventful report any day, because when the weather gets excited, it has hyperkinetic tendencies.
Here are Some Other Facts on Typhoon Haiyan:
- Haiyan is the second category 5 typhoon to hit the Philippines this year after Typhoon Usagi in September.
- An average of 20 typhoons hit the Philippines every year.
- Last year, three towns on Mindanao were devastated by Typhoon Bopha flattened three towns on Mindanao, killed 1,100 people and caused damages of more than $1 billion.
- In 1969, the world’s strongest recorded typhoon, cyclone or hurricane to make landfall was Hurricane Camille. It hit the southern US state of Mississippi with 305km/h Weather Underground’s Masters reported.
- Haiyan grazed tourist destinations of the northern tip of Cebu province and then headed northwest towards Boracay island.It also affected the central islands of Leyte and Samar with 275km/h wind gusts and five to six meter waves.
- The death toll of over 100 dead, could rise higher as more reports arrive.
According to Associated Press (AP): Rescuers in the central Philippines counted at least 100 dead and many more injured Saturday, a day after one of the most powerful typhoons on record ripped through the region, wiping away buildings and leveling seaside homes in massive storm surges, then headed for Vietnam.Meteorologists in Vietnam said it could be the country’s strongest storm ever and have already started evacuations per the state-run Voice of Vietnam radio. See the full AP story here
Update: The death toll is upwards of 1866 people. For those who want to help out, these are some websites organizing relief for survivors of Typhoon Haiyan – Red Cross, AmeriCares, UNICEF, SaveTheChildren.
Lord have mercy…and comfort the distressed.
Prompt: Connect the Dots
Discover more from Ama Danesi
Subscribe to get the latest posts sent to your email.


Thanks Mailot, This was a sad day but Hope and Love never fails!
LikeLike
Hi Eva, Thanks for bloglovin’!! Website myself? Yes! A pure labor of love. If you are planning..do it!
LikeLike
I seriously love your blog.. Pleasant colors & theme.
Did you make this website yourself? Please reply back as I’m planning to create my very own
website and want to know where you got this from or exactly what the theme is
called. Thanks!
LikeLike